Home Nach oben Systematik Bestimmung Familien Fundorte Fachbegriffe Artenverzeichnis Hilfe Saatblumen

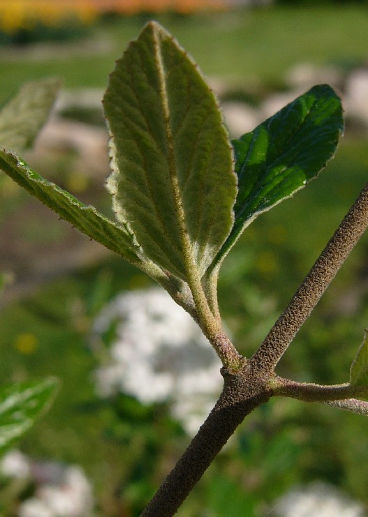
Viburnum - Blätter eiförmig oder länglich, gezähnt, Randblüten nicht vergrößert,
Blütenstiele und junge Zweige sternhaarig filzig

Blätter winter- oder immergrün
nur schwach gezähnelt
> 1

Blätter sommergrün
grob gezähnt
> 4

 

1        Blätter winter- oder immergrün, nur schwach gezähnelt

Blätter 3 - 7 cm lang, 
Blütenstand meist schirmtraubenförmig
Kronzipfel ausgebreitet
> 2

Blätter 8 - 10 cm lang, ledrig
Blütenstand ballförmig, vielblütig
Kronzipfel etwas glockig
> 3

 

2       Blütenstand meist schirmtraubenförmig, Kronzipfel ausgebreitet


Burkwoods Schneeball 
(Viburnum x burkwoodii
Burkwood & Skipwith)

IV - VI, Gärten, Parks
              Günzburg, Forum am Hofgarten, cult. (29.04.2010)

Bastard Viburnum utile x Viburnum carlesii

Synonyme:
Oster- Schneeball

English name:
Burkwood's Viburnum

Verbreitung in Deutschland:
Nur als Ziergehölz. Häufig gepflanzt.

Gefährdung in Deutschland:
Nicht anwendbar

Weltweite Verbreitung:
Die Eltern kommen aus Korea und China

Etymologie:
- Viburnum: Lateinischer Name für  den Wolligen Schneeball (Viburnum lantana)
- burkwoodii: benannt nach Arthur Burkwood (1888–1951) oder seinen Bruder Albert Burkwood (1890–1978), britische Gärtner, die für ihre Hybriden bekannt sind.

 

 

 

1 - 3 m hoher Strauch, immergrün
alle Pflanzenteile giftig

Blütenstand meist schirmtraubenförmig

Blütenknospen rosa

Blüten weiß, ohne Griffel, Kronzipfel ausgebreitet 
Staubblätter etwas länger als die Kronröhre

Früchte erst rot, später schwarz

Blätter 3 - 7 cm lang, dunkelgrün, glänzend, eiförmig, ganzrandig, schwach gezähnelt, oberseits schwach sternhaarig

Triebe dicht braun sternfilzig
Blätter unterseits dicht sternhaarig graufilzig

 

 

3          Blütenstand ballförmig, vielblütig, Kronzipfel etwas glockig


'Eskimo'- Schneeball 
(Viburnum x burkwoodii 'Eskimo')

IV - VI, Gärten 
              Günzburg, Birket, cult. (26.04.2011)

Bastard 
Viburnum utile x Viburnum 'Cayuga' (=
Viburnum carlcepalum x Viburnum carlesii)

Synonyme:
Frühlings- Schneeball

English name:
Reddish Viburnum

Verbreitung in Deutschland:
Nur als Ziergehölz. Häufig gepflanzt.

Gefährdung in Deutschland:
Nicht anwendbar

Weltweite Verbreitung:
Die Eltern kommen aus Korea und China

Etymologie:
- Viburnum: Lateinischer Name für  den Wolligen Schneeball (Viburnum lantana)
- burkwoodii: benannt nach Arthur Burkwood (1888–1951) oder seinen Bruder Albert Burkwood (1890–1978), britische Gärtner, die für ihre Hybriden bekannt sind.

 

 

 

 

 

1 - 3 m hoher Strauch, wintergrün, oft auf ein Hochstämmchen gesetzt, auch junge Pflanzen schon reichblühend

Blütenstände ballförmig

Blütenbälle oft überhängend, wodurch sich von oben die sternhaarigen Blütenstiele gut erkennen

Blütenknospen cremefarben oder rosa überhaucht

 Blüten aufgeblüht rein weiß, ohne Griffel, Staubblätter kürzer als die Kronblätter
Kronzipfel glockig

Früchte kugelig, erst rot, später schwarz

 

Blätter 8 - 10 cm lang, etwas ledrig

Blätter elliptisch, schwach gezähnelt

Blätter unterseits dicht sternhaarig graufilzig

 

 

4         Blätter sommergrün, grob gezähnt

Kronröhre so lang oder länger wie die Kronzipfel,
Staubblätter die Kronröhre nicht überragend
> 5

Kronröhre kürzer wie die Kronzipfel,
Staubblätter die Kronröhre überragend
> 6

 

5       Kronröhre so lang oder länger wie die Kronzipfel, Staubblätter die Kronröhre nicht überragend


Koreanischer Schneeball 
(Viburnum carlesii
Hemsl.)

IV - V, Gärten, Parks
            
Botanischer Garten Ulm, cult. (20.04.2011)

Synonyme:
Wohlriechender Schneeball

English name:
Koreanspice Viburnum

Verbreitung in Deutschland:
Nur als Ziergehölz. Sehr häufig gepflanzt

Gefährdung in Deutschland:
Nicht anwendbar

Weltweite Verbreitung:
Korea

Etymologie:
- Viburnum: Lateinischer Name für  den Wolligen Schneeball (Viburnum lantana)
- carlesii: benannt nach William Richard Carles (1848–1929), britischer Pflanzensammler in Korea.

Mehrere Sorten:
'Aurora': Blüten hellrosa

 

Bis 1,5 m hoher Strauch, wintergrün

Blütenstände halbkugelig

Blüten anfangs rosa, stark duftend
 Kronröhre zylindrisch, so lang oder länger wie die Kronzipfel, Staubblätter die Kronröhre nicht überragend

Früchte ellipsoid, blauschwarz

Blätter 3 - 10 cm lang, breit eiförmig, grob gezähnt

Blätter auf den Nerven braun sternhaarig

 

 

6      Kronröhre kürzer wie die Kronzipfel, Staubblätter die Kronröhre überragend


Großblumiger Schneeball 
(Viburnum x carlcephalum
Burkwood ex Rullo, Brach & Gandhi)

IV - V, Gärten, Parks
            
Bubesheim, Baumschule Haage, cult. (29.04.2011)

Bastard aus Viburnum carlesii und Virburnum macrocephalum

Synonyme:
Großblumiger Duftschneeball

English name:
Fragrant Snowball

Verbreitung in Deutschland:
Nur als Ziergehölz. Häufig gepflanzt.

Gefährdung in Deutschland:
Nicht anwendbar

Weltweite Verbreitung:
Eltern aus Korea und China

Etymologie:
- Viburnum: Lateinischer Name für  den Wolligen Schneeball (Viburnum lantana)
- carlcephalum: setzt sich zusammen aus den Namen der Eltern Viburnum
carlesii und Viburnum macrocephalum

 

 

 

 

2 - 3 m hoher Strauch, wintergrün

Blütenstände halbkugelig

Blüten anfangs rosa, stark duftend
 Kronröhre kürzer wie die Kronzipfel,
Staubblätter die Kronröhre überragend

Blätter 6 - 9 cm lang, breit eiförmig, grob gezähnt

Blätter unterseits sternhaarig