Home Nach oben Systematik Bestimmung Familien Fundorte Fachbegriffe Artenverzeichnis Hilfe Saatblumen

Berberitze - Blätter am Rand gezähnelt, sommergrün

Blüten in Trauben, 
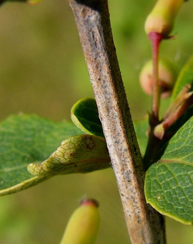
Blätter länglich elliptisch, Zweige kantig gefurcht
häufige Wild- und Zierpflanze
> 1

      
Photo und copyright Andrea Moro

Blüten in Rispen, 
Blätter +/- eiförmig, Zweige schwach kantig
seltene Zierpflanze aus China
> 2

  

 

1     Blüten in Trauben, Blätter länglich elliptisch


Gewöhnliche Berberitze
(Berberis vulgaris
L.)

IV - VI, Wälder, Gebüsche (0 - 2000 m)
              Neresheim, NSG Zwing, ca. 550 m ü.M. (28.05.2023)

Synonyme:
Berberis irritabilis Salisb.; Berberis orientalis C.K. Schneid

English name:
Common Barberry

Nom francais:
Berbéris épine-vinette

Nome italiano: 
Crespino comune

Verbreitung in Deutschland:
Mitte, Süden und Osten verbreitet (fehlt hohen Lagen), Norden und Nordwesten selten 

Gefährdung in Deutschland:
Deutschland: nicht gefährdet, Baden-Württemberg: nicht gefährdet, Bayern: nicht gefährdet, Berlin: Neophyt, Brandenburg: D (Datenlage unzureichend), Hessen: nicht gefährdet, Mecklenburg-Vorpommern: Neophyt, Niedersachsen: 2 (stark gefährdet), Nordrhein-Westfalen: nicht gefährdet, Rheinland-Pfalz: nicht gefährdet, Saarland: 2 (stark gefährdet), Sachsen: Neophyt, Sachsen-Anhalt: nicht gefährdet, Schleswig-Holstein: unbeständig, Thüringen: nicht gefährdet 

Weltweite Verbreitung:
Austria, Germany, Switzerland, 
Spain, France, Italy, Slovenia, Croatia, Bosnia & Hercegovina, Montenegro, Serbia & Kosovo, Macedonia, Albania, Greece (S- Pindos, N- Pindos), 
Belgium, Netherlands, 
Czech Republic, Slovakia, Hungary, Poland, Romania, Bulgaria, Crimea, Baltic States, Russia, Belarus, Ukraine, Turkey, Iran

Eingebürgert in:
*Portugal, 
*England, *Denmark, *Finland, *Ireland, *Norway, *Sweden, 
*USA, *Canada

Wird häufig als Ziergehölz verkauft.

Etymologie:
- Berberis: von arabisch "barbaris", als Bezeichnung für die Pflanzen

- vulgaris: gewöhnlich

 

 

 

 

 

 

 

Pflanze 1 bis 3 m groß, sommergrün

Blüten gelb, zu 6 - 30, in hängenden Trauben

Blüten mit 6 Kronblättern und 6 Kelchblättern, 6 kurze Staubblätter,
Fruchtknoten länglich, Narbe scheibenförmig

Beeren elliptisch, rot, ca. 1 cm lang, essbar, mit 1 - 2 Samen

Blätter länglich elliptisch, 3 - 6 cm lang,

Blätter  stechend gewimpert, beiderseits kahl

Zweige stark kantig gefurcht, Dornen meist 3- teilig, 

an Langtrieben bis zu 7-teilig

Rotfärbung im Herbst

 

 

2     Blüten in Rispen, Blätter +/- eiförmig


Franz-Ferdinand-Berberitze
(Berberis francisci-ferdinandi
C.K. Schneid)

IV - VI, Gärten, Parks
              Botanischer Garten Ulm, cult. (07.06.2014)

Synonyme:
Berberis luhuoensis T. S. Ying

English name:
Franz- Ferdinand Burberry

Verbreitung in Deutschland:
Selten als Zierpflanze

Gefährdung in Deutschland:
Nicht anwendbar

Weltweite Verbreitung:
China

Etymologie:
- Berberis: von arabisch "barbaris", als Bezeichnung für die Pflanzen
- francisci- ferdinandi:
benannt nach Franz Ferdinand von Österreich-Este (1863 - 1914). 
Er starb durch ein Attentat in Sarajewo, welches als Auslöser des Ersten Weltkrieges gilt.

 

 

 

 

 

 

 

Pflanze 1 bis 3 m groß, sommergrün
Zweige +/- überhängend

Blüten gelb, zu 20 - 35 in 5 - 12 cm langen Rispen

 

Dornen meist einteilig, Reife Beeren scharlachrot, bis 12 mm lang

Zweige schwach kantig, 

Blätter eiförmig, 2 - 7 cm lang, 1 - 3 cm lang gestielt, krautig, stechend gewimpert

Blätter beiderseits schwach glänzend